Un projet réalisé par :Véronique Jannin
Architecte à Change
L'axe sur lequel repose le projet est :
- Proposer une architecture de type Nord américain ( Louisianne ), qui s'articule autour de plusieurs volumes.
L'axe sur lequel repose le projet est :
- Proposer une architecture de type Nord américain ( Louisianne ), qui s'articule autour de plusieurs volumes.
-
-
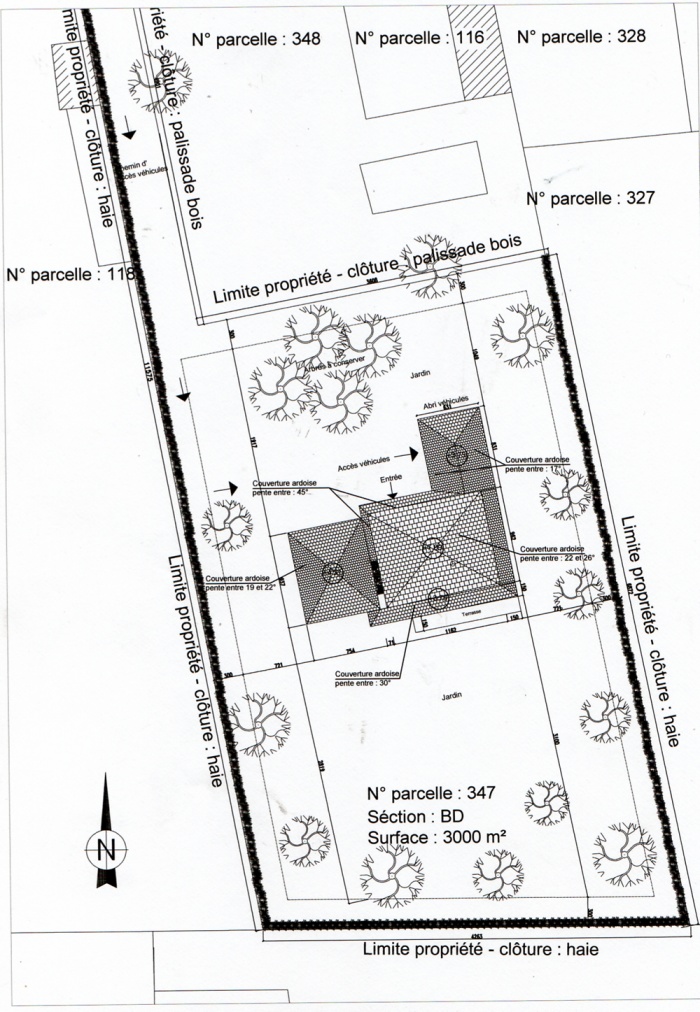
Plan masse
-
Façades
-
Plans RDC et étage
Maquette 3D